Tuberias
 
LAND SURVEY AND 3D TECNOLOGY FOR YOUR SERVICE Español English Deutsch Contacto
line decor
  
line decor
 


 
 

 

 

 

 

 

 

 

 

 
atras

 

 

GEOMORFHOLOGICAL

APLICATIONS:

MINING


- Measurement-cubication of mining.

- Follow the extraction zones with determination of the volumes of the extracted materials.

- Identification of the various materials

CONTROL OF SLOPES

- Landslides, dimensional control of the slopes, landslides.

- Control of the deformations by falling material and accumulation.

- Natural disasters.

CONTROL OF CLIFFS

- Geometry for rehabilitation.

- Study of erosion.

- Deformation monitoring over time - falling rocks.

 

 

.

Natural disaster. LandSlides.

 

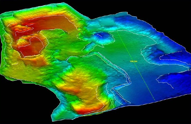
Initial Data for survey mining.

 

 

 
 
 
 

 

 

BENEFITS:

 

- Time.

-Planning.

- We are in constant communication with the customer during the development of the work we are doing (drawings, calculations, solutions, etc. ), either online or classroom based methods.

- Immediate availability of integrable data in the initial tasks of the project.

- Method of lifting more accurate and more secure than the traditional.

- Completely avoids the Re-Works (Return to the area due to lack of data).

- Prevents the use of auxiliary.

- Direct delineation of elevations, sections and plants.

- Possibility of simulation of virtual reconstructions without affecting the element.

- Analysis of deformations.

- We get a true three dimensional model, by which we can represent the different products according to the needs.

- The high degree of detail of information, enables the study of alternatives to the project.

- Very quickly in the data capture in the field especially in areas not accessible.

 

 

geo3

3D Data for cliff stability studio. Top image.